22:45, 29 Січня 2025
У селах Луцької громади вулиці отримали назви
Відповідне рішення, сьогодні, 29 січня, ухвалили депутати міської ради під час пленарного засідання 70-ї сесії.
Про це йдеться на сайті Луцькради.
Йдеться про села Тарасове, Городок, Клепачів, Забороль, Зміїнець та селище Рокині.
Зокрема:
– у селі Клепачів вулиці отримали назви: Волинська, Лісничівська, Залізнична, провулок Залізничний;
– у селі Тарасове – Ветеранів, Хортицька, Гетьманська, Гайдамацька, Козацька, провулок Боголюбський;
– у селі Забороль будуть такі назви вулиць: Східна, Світанкова, Спокійна, Липнева, Чумацька, Єдності, Барвінкова, Новосільська, Виноградна, Південна, Ярова, Кобзарська та Кришталева.
Крім того, депутати змінили назву вулиці Сонячна (масив Черчиці) в селі Зміїнець на провулок Сонячний, вулицю Сонячна (масив Лісництво) на вулицю Сонячна.
У селі Городок буде вулиця Братів-Волохів.
Своїм рішенням депутати у селищі Рокині повернули вулиці Праведників світу попередню назву – Степана Тулайдана.
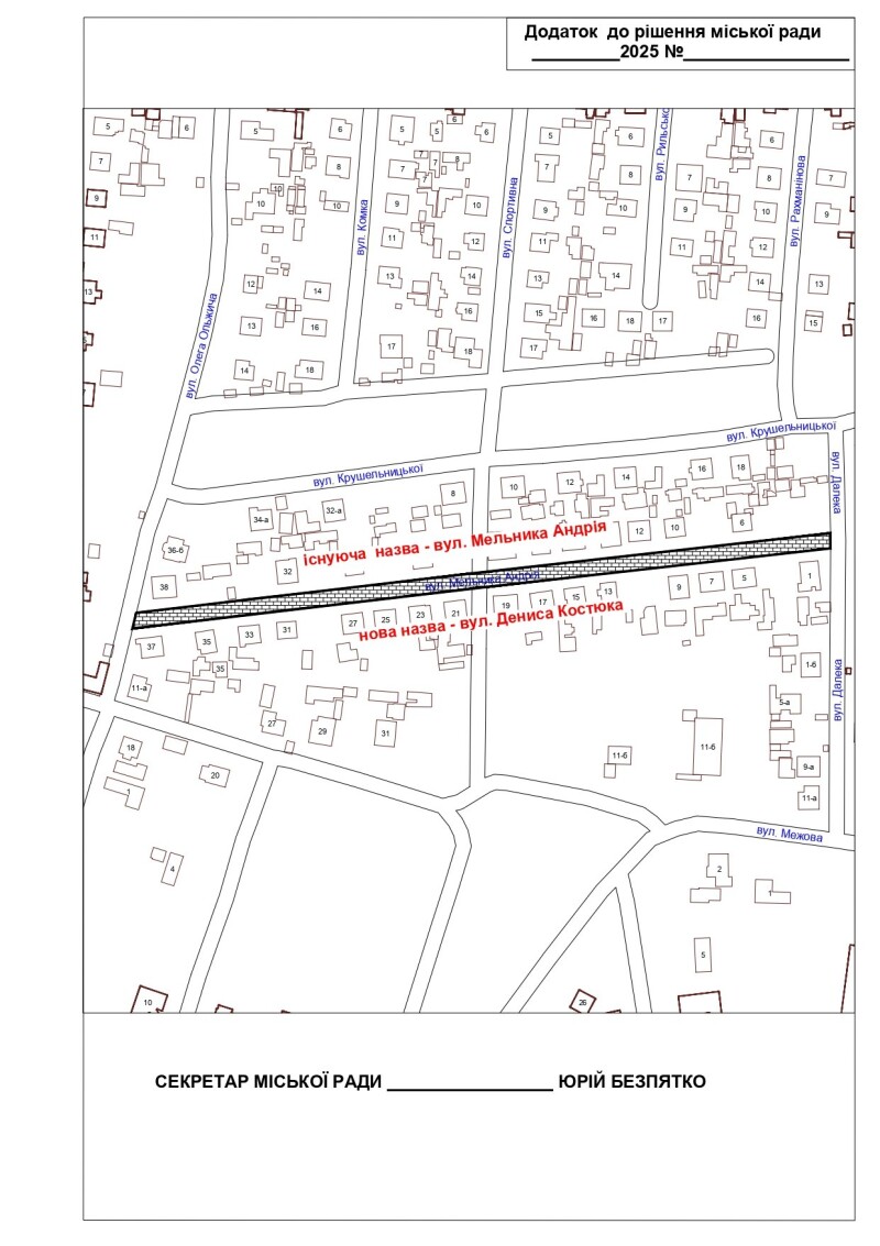
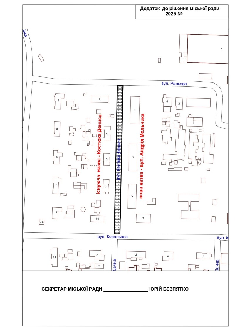
Крім того, директор департаменту містобудування, земельних ресурсів та реклами Веніамін Туз зазначив, що вирішено дещо змінити розташування вулиць Андрія Мельника і Дениса Костюка, адже до міськради звернулися рідні полеглого воїна Дениса Костюка з проханням назвати його ім’ям саме ту частину вулиці, де він мешкав.
Отож, з 1 березня цього року буде перейменовано вулицю Костюка Дениса на вулицю Андрія Мельника без зміни нумерації об’єктів нерухомого майна.
А вулицю Мельника Андрія – на вулицю Дениса Костюка без зміни нумерації об’єктів нерухомого майна згідно з додаткоми.
Працівники департаменту житлово-комунального господарства у визначені терміни забезпечать виготовлення та розміщення відповідних інформаційних стендів, вказівників із новою назвою вулиці на будівлях.













Залишити відповідь